Grond verkocht in Balen
Verkocht Balen Krijnsveldstraat 15
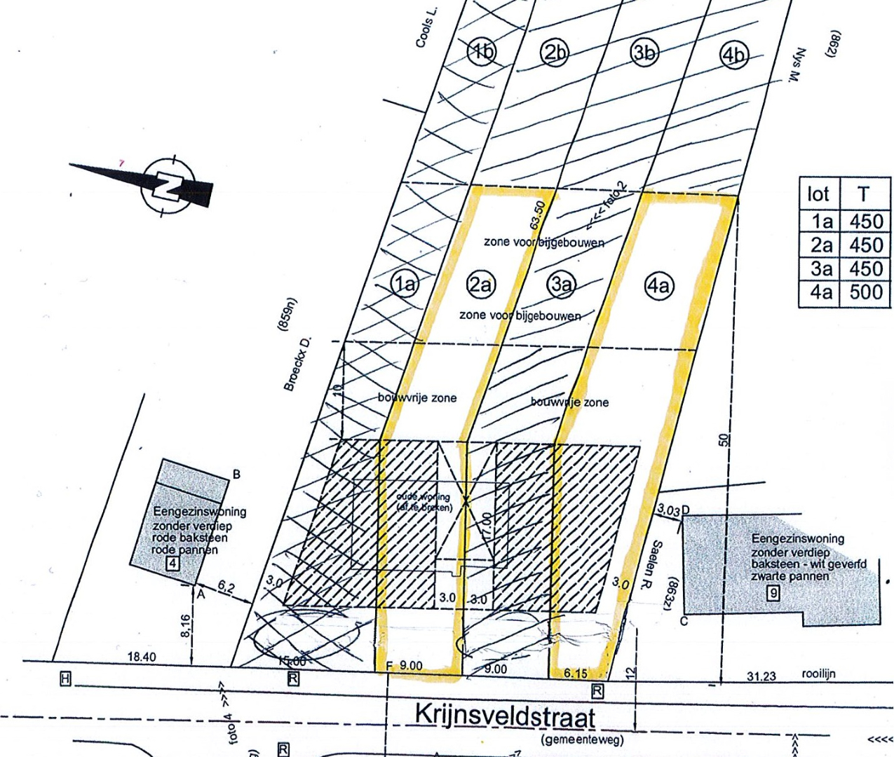
Bouwgrond 506 m² HOB LOT 4a te koop in centrum Balen gelegen te Krijnsveldstraat tussen nr 13 en nr 17.
Perceelbreedte vooraan 6.15m
Perceel loopt achteraan breder uit.
Ter hoogte van de bouwlijn zou de woning +- 5m breed gebouwd kunnen worden en achteraan +-9m.
Bouwdiepte 17m.
Nokhoogte max 11m.
Perceeldiepte 50m.
Wenst u ook uw eigendom te verkopen? Contacteer ons vrijblijvend voor een GRATIS schatting op 0483/73.79.00
Perceelbreedte vooraan 6.15m
Perceel loopt achteraan breder uit.
Ter hoogte van de bouwlijn zou de woning +- 5m breed gebouwd kunnen worden en achteraan +-9m.
Bouwdiepte 17m.
Nokhoogte max 11m.
Perceeldiepte 50m.
Wenst u ook uw eigendom te verkopen? Contacteer ons vrijblijvend voor een GRATIS schatting op 0483/73.79.00